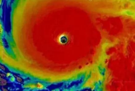
12:20 28 Ottobre 2025 La posizione attuale dell’uragano Melissa Paolo Bonino - Autore Questa è la posizione dell’uragano Melissa alle ore 12 italiane: Il suo movimento verso nord-est dovrebbe spaziare all’interno dell’ipotetico cono tracciato sulla mappa.