Africa: ciclone tropicale Kenneth si abbatte tra Tanzania e Mozambico. Tra i piu’ forti di sempre!
A distanza di poco più di un mese dal devastante ciclone Idai, un nuovo vortice tropicale si sta abbattendo sull’Africa orientale, come mai accaduto prima d’ora. Ancora una volta è il Mozambico a fare i conti con la furia del maltempo, ma a differenza del precedente episodio ci troviamo circa 1000 km più a nord, in prossimità della Tanzania.
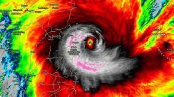
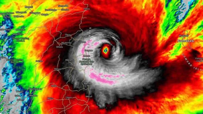
Sulle calde acque dell’oceano Indiano si è formato il potente ciclone tropicale Kenneth, che dopo aver devastato le Comores, causando anche delle vittime, si sta abbattendo con notevole intensità sulle coste africane tra Mozambico e Tanzania : la tempesta sta scatenando venti superiori ai 250 km/h e piogge torrenziali.
Migliaia di persone sono state fatte evacuare, ma nonostante ciò sarebbero almeno 700.000 le persone a rischio e situate nel raggio d’azione del ciclone.
Al momento è confermata una vittima nel nord del Mozambico, mentre i danni risultano incalcolabili al momento : decine di case sono state devastate e la corrente elettrica è in tilt in numerosi centri abitati.
Kenneth è il ciclone tropicale giunto più a nord nella storia dell’Africa orientale : mai prima d’ora si era abbattuto un ciclone di questa intensità sul nord del Mozambico e della Tanzania, almeno da quando esistono le rilevazioni satellitari.
Autore : Redazione MeteoLive.it

